<HTML>
<HEAD>
<TITLE>Saddle Shoes</TITLE>
<meta http-equiv="Content-Type" content="text/html; charset=iso-8859-1">
<meta http-equiv="Content-Style-Type" content="text/css">
<meta http-equiv="Content-Script-Type" content="text/javascript">

<script type="text/javascript" src="../js/prototype.js"></script>
<script type="text/javascript" src="../js/scriptaculous.js?load=effects"></script>
<script type="text/javascript" src="../js/lightbox.js"></script>

<link rel="stylesheet" href="../css/lightbox.css" type="text/css" />
<link rel="stylesheet" href="../css/bio.css" type="text/css" />

</HEAD>

<BODY background="../whispy.jpg">
<center>

<table cellpadding=0 cellspacing=0 border=0 width=700>
<tr><td colspan=4>
	<table cellspacing=0 cellpadding=0 border=0 width=700><tr><td class=bigname>Saddle Shoes</td></tr></table>
</td></tr>
</table>

<table border=0 width=700>
<tr>
	<td width=134 align=right><img src=head.jpg border=1></td>

	<td height=100%>
		<table cellpadding=7 cellspacing=0 border=1 height=100% width=100% bordercolor=black>
			<tr valign=top>
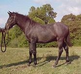
				<td colspan=2 height=100% class=text1>The first foal of 2001 was born on March 20, 2001, about 8:00 a.m. The colt is very cute--a little white on each hind hoof and a few white hairs on inside of one hind pastern, about 7 white hairs on forehead. <p>Saddle Shoes is sold and his new owners are Eddie & Tracy Matthews.</td>
			</tr>
			<tr valign=bottom>
				<td width=50% class=text2>Born: March 20, 2001</td>
				<td width=50% class=text2>Part Andalusian Gelding</td>
			</tr>
		</table>
	</td>

	<td width=60 align=right height=100% cellspacing=0 cellpadding=0 valign=top>
		<table align=center height=100%>
			<tr><td align=center valign=top><a href="../JeFe/index.html"><img src=../JeFe/head.jpg width=50 border=1 class=noborder></a></td></tr>
		    <tr><td class=smallname>Je Fe</td></tr>
		    <tr><td align=center><a href="../Brown_Shoes/index.html"><img src=../Brown_Shoes/head.jpg width=50 border=1 class=noborder></a></td></tr>
		    <tr><td class=smallname>Brown Shoes</td></tr>
		</table>
    </td>
</tr>
</table>

<!-- Offspring
<table cellpadding=0 cellspacing=0 border=1 width=700>
<tr><td class=smalltitle><font><b>Foals</b></font></td></tr>
</table>
<table cellpadding=0 cellspacing=3 border=0 width=60 align=center>
<tr>
<td class=pic1><a href="../Saddle_Shoes/index.html"><img src=../Saddle_Shoes/head.jpg width=50></a></td>
<td class=pic1><a href="../Two_Shoes/index.html"><img src=../Two_Shoes/head.jpg width=50></a></td>
</tr>
<tr>
<td class=smallname>Saddle Shoes</td>
<td class=smallname>Two <br>Shoes</td>
</tr>
</table>
-->

<!-- More Details

<table cellpadding=0 cellspacing=0 border=1 width=700>
<tr><td class=smalltitle><font><b>More Information</b></font></td></tr>
<tr>
	<td height=100%>
		<table cellpadding=7 cellspacing=0 border=1 height=100% width=100% bordercolor=black>
			<tr valign=top>
				<td colspan=2 height=100% class=text1>  </td>
			</tr>
		</table>
	</td>
</tr>
</table>

-->

<!-- Photos -->

<table cellpadding=0 cellspacing=0 border=1 width=700>
<tr><td class=smalltitle><font><b>Photos</b></font></td></tr>
</table>

<table cellpadding=0 cellspacing=1 border=0 width=702>
<tr><td></td></tr>
<tr><td align=center>
<a href="wide1.jpg" rel="lightbox[G1]" class=pic1><img src=t_wide1.jpg></a>
<a href="wide2.jpg" rel="lightbox[G1]" class=pic1><img src=t_wide2.jpg></a>
<a href="wide3.jpg" rel="lightbox[G1]" class=pic1><img src=t_wide3.jpg height=125></a>
<a href="wide4.jpg" rel="lightbox[G1]" class=pic1><img src=t_wide4.jpg></a>
</td></tr>

<tr><td align=center>
<a href="wide5.jpg" rel="lightbox[G1]" class=pic1><img src=t_wide5.jpg></a>
<a href="wide6.jpg" rel="lightbox[G1]" class=pic1><img src=t_wide6.jpg></a>
<a href="wide7.jpg" rel="lightbox[G1]" class=pic1><img src=t_wide7.jpg></a>
<a href="wide8.jpg" rel="lightbox[G1]" class=pic1><img src=t_wide8.jpg></a>
</td></tr>

<tr><td align=center>
</td></tr>

</table>

</center>
</BODY>
</HTML>
